Sold

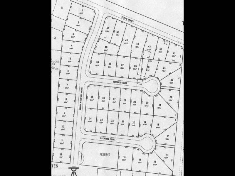
Lot 26 Beatrice Court, Barooga ~ Paradise Rise

Fully serviced residential homesites. Ranging in size from approx. 600m2 to 1000m2, complete with filtrated water, gas, power & sewerage. Undulating sandy rise blocks. Within walking distance to clubs and sporting facilities.
SECURE YOUR DREAM BLOCK TODAY

PLEASE NOTE: Lots 1,3,5,6,15,19,28,29,30,31,33,35,36,37,52,53,55,60,61 and 68 are still available.
612 m2
Address Lot 26 Beatrice Court, Barooga
Price SOLD for $52,000
Property Type Residential
Property ID 2322
Category Vacant Land
Land Area 612 m2

Agent Details

Andrew Jenkins photo

Andrew Jenkins

0428 570 717
View Profile