Sold

Bargain Buying

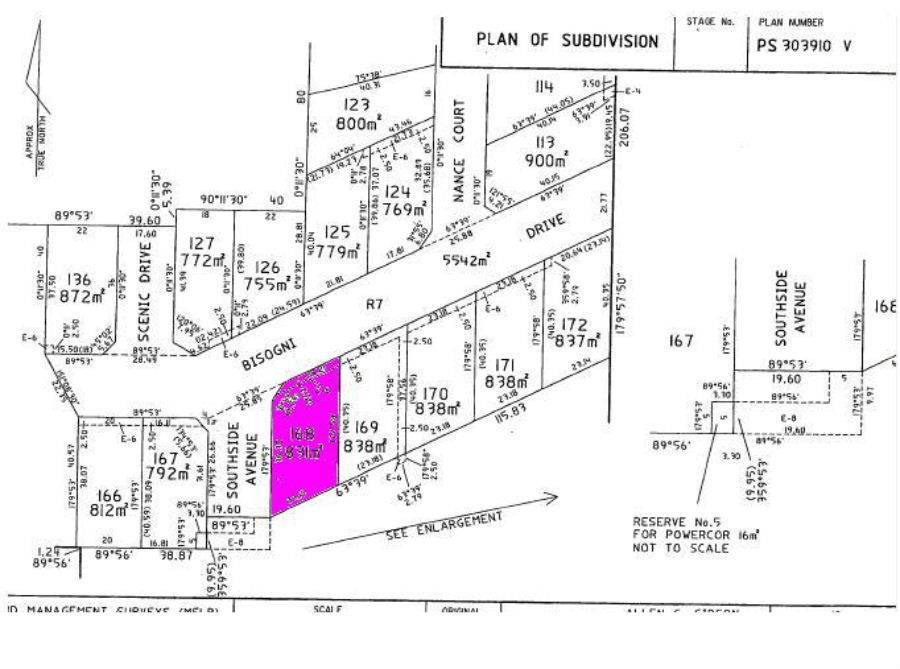
Elevated sandy rise block, fenced two sides and represents outstanding value. Located in Stage 9 of the Murray River Estate, a prime location close to Murray River and bushland. The perfect new home site for the first home builder.
831 m2
Address Lot 168 Cnr Bisogni Drive & Southside Avenue, Cobram
Price SOLD
Property Type Residential
Property ID 1203
Category Vacant Land
Land Area 831 m2

Agent Details

Andrew Jenkins photo

Andrew Jenkins

0428 570 717
View Profile