Sold

BARGAIN BUYING - BAROOGA

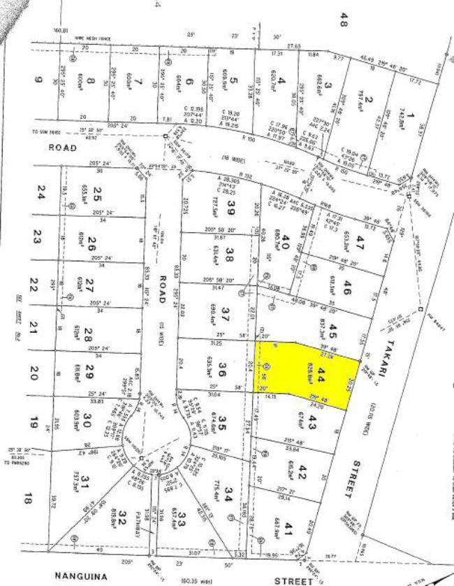
Excellent homesite located in attractive new estate, close to clubs and sporting facilities. Fully serviced and fully fenced, measuring 828 square metres with 20.25 m frontage.

Representing an outstanding opportunity for the first home builder.
828 m2
Address Lot 44 Takari Street, Barooga
Price SOLD
Property Type Residential
Property ID 1003
Category Vacant Land
Land Area 828 m2

Agent Details

Andrew Jenkins photo

Andrew Jenkins

0428 570 717
View Profile